Helsinki, Mustikkasuontie 1 A Vartiokylä, Mellunkylä

Nätti kulmatontti viihtyisällä pientaloalueella.

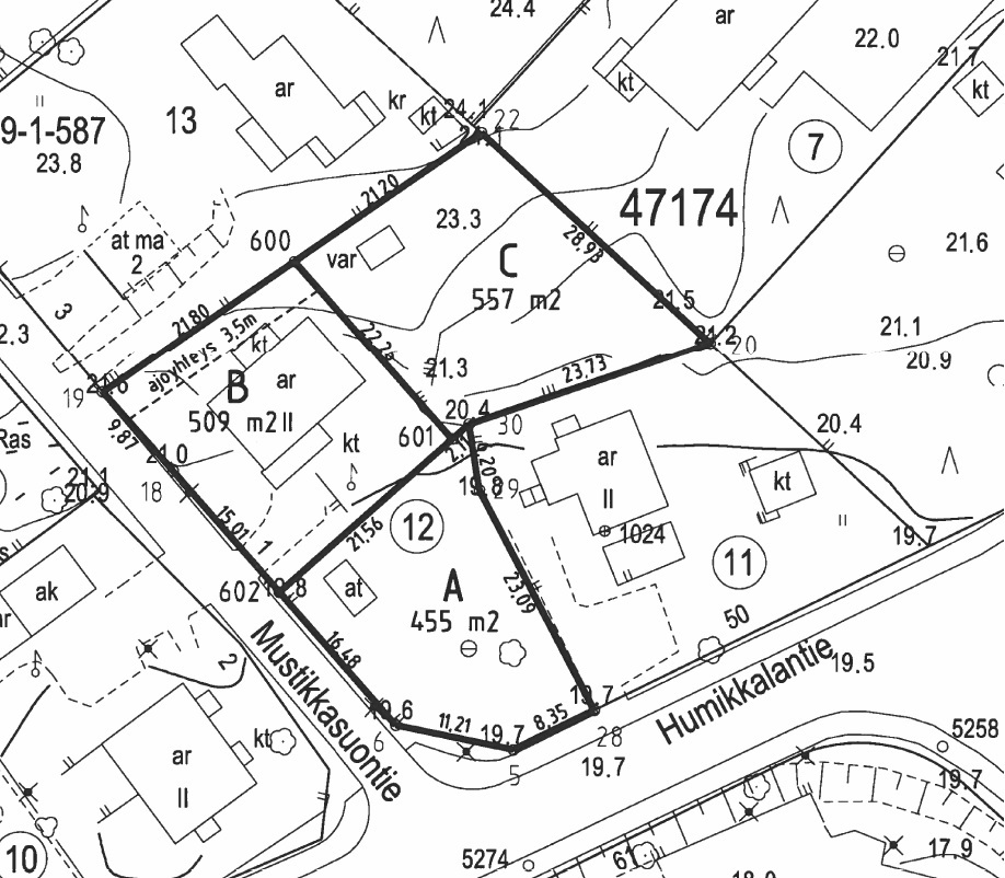
Hallinnanjakosopimuksen mukainen alue A, 455 m² määräosa, jolla rakennusoikeutta 110m² + 24m² taloustila / autotalli. Alueelle saa rakentaa maanalaisen kellarin sokkeli-ikkunoilla ja kaksi kerrosta maan päälle korkeintaan 7,5m korkeudella. 

Rakennus voi muodostua esim. 80m² + 80m² + 30m² + 50m² terassi + 24m² autotalli.
Ja, tietenkin voi tehdä vain yksitasoisen esim. 110m² +24m² + terassin.

Kunnallis- ja tietoliikennetekniikan liittymäkohdat ovat rajalla. 
Kyseisellä määrosa-alueella on tehty maaperätutkimus, joka osoittaa sedimenttisyvyyden olevan 1,4- 4,2 metriä ja pääosin hiekkamaata.

Alue on melko tasainen ja sitä kiertää suojaava pensasaita. 
Alueella on tällä hetkellä käyttökuntoinen varastorakennus, muutama puu ja vanha kaivo.
Koulut, päiväkodit ja yleiset tarvittavat palvelut sekä liikenneyhteydet löytyvät läheltä.

Ottakaa yhteyttä ja pyytäkää lisätietoja tai näyttö tontille.
Ystävällisin terveisin, 
Harri Haga +358405039989

Huoneisto

Kohdenumero: 20168793
Nettiliittymä: . Valokuitu liittymä tontin rajalla.
Muuta kauppaan kuuluvaa: pihavarusteet

Kiinteistö- ja yhtiötiedot

Tontti: oma

Muita tietoja

Palvelut: K-Market 940 m Liikuntamylly 1500m Koulu: Peruskoulu ja lukio: Helsingin yhteislyseo 450 m Erityiskoulu: Naulakallion koulu 1110 m Peruskoulu: Laakavuoren ala-aste 1240 m Lukio: Helsingin kielilukio 1410 m Botby skola 1600m Päiväkoti: Helsingin kaupunki päiväkoti Humikkala 180 m Helsingin kaupunki päiväkoti Liinakko 1010 m
Piha: Hallintaperuste: . Pensas-aidattu nurmipiha, jossa jokunen koivu ja kuusi. Pihalla on myös vanha kaivo.
Liikenneyhteydet: Linja-autopysäkki: Linnanherrantie 90 m
Kaavoitus: Asemakaava.

Asumiskustannukset

Hinta

Myyntihinta: 115 000,00 €
Velaton hinta: 115 000,00 €
Vapautuminen: heti

Tämä ei ole virallinen myyntiesite.

Ota yhteyttä

Haga Harri
Kiinteistönvälittäjä, LKV